Jako by mu ve mlýně hudl – napomenutí bez užitku.
(české přirovnání)

Novoveský, Rössnerův mlýn; Neueigner Mühle, Rössnermühle,

Novoveský, Rössnerův mlýn; Neueigner Mühle, Rössnermühle,
35
Nová Ves
78501
Olomouc
Město Libavá
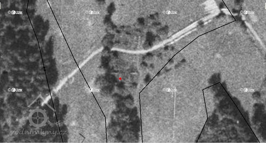
49° 38' 54.4'', 17° 31' 36.1''
Mlýniště bez mlýna
Zaniklý mlýn ve vojenském újezdu Libavá.
Odra
nepřístupný

Historie mlýna obsahuje událost z období:

Vodní mlýn je poprvé zmíněn v roce 1670 v soudním řízení. Bylo to o lese.
Vlastnictví mlýna podle záznamů katastru nemovitostí. Hans Brauner ->, Andreas Brauner ->, Georg Schwarz -> a od roku 1711 podle zápisu do katastru nemovitostí mistr mlynář Michel Rudolf. Michel Rudolf pocházel z domu Nová Ves nad Odrou 24. 

(Siegfried Rudolf 27.4.2019)

1830 Ignác Rudolf

Kolem roku 1880 byl mlýn předán panu Wilscherovi za předlužení. Nevlastní otec Franze Rössnera. Nyní se nazývá po posledním majiteli mlýna Rössner, ale byl 180 let ve vlastnictví rodiny Rudolfů.

Kaple s portrétem "Panny Marie" byla postavena kolem roku 1855 majitelem mlýna Františkem Rudolfem.

(Siegfried Rudolf 27.4.2019)

1930 Lothar Rössner

Hospodářský typ mlýna
Námezdní

1947 ještě stál

Události
  • Zánik mlynářské živnosti

1950 v troskách

Události
  • Zánik budovy mlýna

Příjmení mlynářů působících na mlýně:

  • Rössner
  • Brauner
  • Schwarz
  • Rudolf
  • Wilscher

Historie mlýna také obsahuje:

Hans Brauner

Andreas Brauner

Georg Schwarz

1711 Michel Rudolf

1830 Ignác Rudolf

1855 František Rudolf

1880 Wilscher

Franz Rössner

1930 Lothar Rössner

Mlýn je vyobrazen na:

Předměty spojené s osobou mlynáře a provozu:

    neexistuje
    05 2021
      venkovský
      mlýn na potoku (50 - 1000 l/s)
        • drobné sakrální památky
          • zcela bez technologie aj.
          Žádná položka není vyplněna
          • náhon
          • lednice
          Typvodní kolo na vrchní vodu
          StavZaniklý
          Popis1930: 1 kolo na svrchní vodu, hltnost 0,106 m3/s, spád 4,4 m, výkon 4 HP
          Typvodní kolo na vrchní vodu
          StavZaniklý
          Popis1930: 1 kolo na svrchní vodu, hltnost 0,106 m3/s, spád 4,4 m, výkon 4 HP
          Žádná položka není vyplněna
          Historické technologické prvky
          • pískovcový kámen | Počet: 1
          • AutorMinisterstvo financí
            NázevSeznam a mapa vodních děl Republiky československé
            Rok vydání1932
            Místo vydáníPraha
            Další upřesněnísešit 16 (Olomouc), s. 12
            AutorMinisterstvo financí
            NázevSeznam a mapa vodních děl Republiky československé
            Rok vydání1932
            Místo vydáníPraha
            Další upřesněnísešit 16 (Olomouc), s. 12
            AutorZdeněk Pechar
            NázevNovoveský mlýn
            Rok vydání2009
            Další upřesněníZaniklé obce a objekty
            Odkazhttp://www.zanikleobce.cz/index.php?obec=10531
            Datum citace internetového zdroje05 2021

            Žádná položka není vyplněna

            Základní obrázky

            Historické mapy

            Historické fotografie a pohlednice

            Současné fotografie - exteriér

            Současné fotografie - exteriér - detaily stavebních prvků

            Současné fotografie - interiér

            Současné fotografie - vodní dílo

            Současné fotografie - technologické vybavení

            Vytvořeno

            4.5.2021 00:20 uživatelem doxa (Jan Škoda)

            Majitel nemovitosti

            Není vyplněn

            Spoluautoři

            Uživatel Poslední změna
            Rudolf (Rudolf Šimek) 4.5.2021 16:18