Ades tritico, dum molitur tuo.
(latinské přísloví)

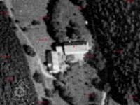
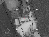
Glaserův mlýn

Glaserův mlýn
4
Krásný Les
36301
Karlovy Vary
Plavno
50° 21' 11.5'', 12° 58' 54.6''
Mlýniště bez mlýna
Zbořený mlýn, který zanikl společně s obcí Plavno (Holzbach), na jejímž jižním konci se nacházel.
Plavenský potok
volně přístupný

Historie mlýna obsahuje událost z období:

Zobrazen na I. vojenském mapování

1842 - Johann Glaser

Události
  • První písemná zmínka o existenci vodního díla
  • Vznik mlynářské živnosti

1930 už nebyl v provozu.

Události
  • Zánik mlynářské živnosti

Příjmení mlynářů působících na mlýně:

Glaser

Historie mlýna také obsahuje:

Mlýn je vyobrazen na:

Předměty spojené s osobou mlynáře a provozu:

    neexistuje
    04 2021
      venkovský
      mlýn na potoku (50 - 1000 l/s)
        zděná
            • zcela bez technologie aj.
            Žádná položka není vyplněna
              Typvodní kolo na vrchní vodu
              StavZaniklý
              Popis
              Typvodní kolo na vrchní vodu
              StavZaniklý
              Popis
              Žádná položka není vyplněna
              Historické technologické prvky
              Žádná položka není vyplněna

              Žádná položka není vyplněna

              Základní obrázky

              Historické mapy

              Vytvořeno

              29.4.2021 20:14 uživatelem Ringo (Vladimír Forejt)

              Majitel nemovitosti

              Není vyplněn

              Spoluautoři

              Uživatel Poslední změna
              Rudolf (Rudolf Šimek) 1.5.2021 10:03