Pracuje jako mlynářský kůň.
(německé přirovnání)

Žídkův mlýn a pila

Žídkův mlýn a pila
Staré Hamry
73915
Frýdek-Místek
Staré Hamry 1
49° 30' 19.0'', 18° 25' 25.1''
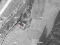
Mlýniště bez mlýna
Zaniklý mlýn s pilou, mlýniště zatopeno přehradou Šance.
1 km jv od hráze nádrže Šance
Ostravice
volně přístupný

Historie mlýna obsahuje událost z období:

K roku 1664 se tu uvádějí 2 mlýny.

1839 Jan Žídek

Okolo roku 1840 tu bylo 7 mlýnů s jedním složením, které ročně semlely 151 měřic žita, 248 měřic ovsa, byly tu 4 pily, které nařezaly 6 720 desek.

Události
  • První písemná zmínka o existenci vodního díla
  • Vznik mlynářské živnosti
Hospodářský typ mlýna
  • Poddanský

Příjmení mlynářů působících na mlýně:

Žídek

Historie mlýna také obsahuje:

1839 Jan Žídek

Mlýn je vyobrazen na:

Předměty spojené s osobou mlynáře a provozu:

    neexistuje
    08 2013
      venkovský
      mlýn na potoku (50 - 1000 l/s)
            • zcela bez technologie aj.
            Žádná položka není vyplněna
            Zaniklý
            • pila
              Typvodní kolo na vrchní vodu
              StavZaniklý
              Popis
              Typvodní kolo na vrchní vodu
              StavZaniklý
              Popis
              Žádná položka není vyplněna
              Historické technologické prvky
              AutorJiří Tichánek, Jan Štěpánek, Ing. Pavel Šmíra
              NázevVodní mlýny na Frýdecko-Místecku
              Rok vydání2013
              Další upřesněnírkp., s. 623
              AutorJiří Tichánek, Jan Štěpánek, Ing. Pavel Šmíra
              NázevVodní mlýny na Frýdecko-Místecku
              Rok vydání2013
              Další upřesněnírkp., s. 623

              Žádná položka není vyplněna

              Základní obrázky

              Historické mapy

              Vytvořeno

              6.1.2021 17:59 uživatelem doxa (Jan Škoda)

              Majitel nemovitosti

              Není vyplněn

              Spoluautoři

              Uživatel Poslední změna
              Rudolf (Rudolf Šimek) 31.1.2021 11:42